名古屋市東山動植物園温室以外の花&実25/08/15

この日の最高気温予想は37℃の猛暑。8月1日に引き続いての訪問です。

10時に、動物園正門に到着。

 

ゾウ舎東端の小池を見遣るが、ポンテデリアは花期を終えた様子で、ガガブタも見当たりませんでした。

上池南では、シャシャンボの実が元気で、ナツハゼの実が稔り、アズキナシの実が目立って来ました。

上池では、アズキナシ?が復活開花し、ポンテデリア・ヒロハシャゼンオモダカ・スイレンが咲き残っていました。

上池門を出て、植物園門に行くと、植物園門南脇柵のカクレミノは、相変わらず、蕾と花後が入り混じる中、全開した花序も3花序ほど見つかりました。

伊藤圭介の庭及び周辺を、できるだけ早く観察するため、植物園門から一旦、植物園に入園。

 

伊藤圭介の庭では、期待していた花のうち、メドハギが1輪だけ開花しており、ボタンヅルの開花は無く、オトギリソウも、相変わらず、見当たりませんでした。ハマゴウが咲き残り見頃を継続しており、カンナ科ダンドクも咲き残っていました。ツルボは、まだ芽生えておらず、シモバシラも、まだ開花に至っていませんでしたが、イヌビワの実が稔ってきました。

 

植物会館南では、グレビレア‘プーリンダロイヤルマントル’が元気で、

植物会館南脇花壇(以下、「会館脇花壇」と略記)では、グレビレア‘ロビンゴードン’が元気でしたが撮影を忘れ、アメリカリョウブ‘ルビースパイス’が咲き残っていました。

 

植物園門を出て、上池門から動物園に再入園。

既に汗だくで疲れ切ってしまい、エレベータを使い、彩景端経由で、植物園に再入園。

 

アメリカ産植物見本園(以下、「米国産園」と略記)では、アメリカノウゼンカズラ・モミジアオイが見頃となり、タイサンボクが実を付けていました。アメリカリョウブは、花期を終えた感じでした。

 

フォークダンス広場(以下、「FD広場」と略記)では、バンクシア2種は、インテグリフォリアが咲き出し、スピヌロサが蕾で、グレビレア7種は、‘ブロンズランバー’が元気で、‘ココナッツアイス’が咲き残り、メラレウカ3種(ティミフォーリア・‘コットンキャンディー’・‘ホワイトレース’)が元気でした。南西では、キョウチクトウが元気でした。

 

しゃくなげの森では、クサギが開花し、タイサンボクの実が元気で、北端では、シマサルスベリが終盤で、タイタンビカスが花期を終えた感じでした。小池南脇のヤブミョウガが実を付けていました。

 

花園橋北東の橋梁に絡んだ、オオイタビの様子を見ると、花芽らしきものを付けていました。

ツツジヶ丘南麓では、カンレンボクが花後となり、サワフタギの実が元気でした。

 

ガーデンテラス東脇のスギ科スイショウの実が目立っており、

中国産植物園林(以下、「中国産園」と略記)では、フジウツギが満開で見頃となり、トチュウの実、中国大花マユミの実、が元気で、中国ガマズミの実が、目立って来ましたが、期待していた、ウオトリギの実は、相変わらず見当たりませんでした。

 

花園橋北東脇では、サンゴシトウが咲き残り、

花園橋北西脇では、ルリマツリ?が見頃で、クマシデの果穂が元気でした。

 

宿根草園では、ひょっとしたら咲き出しているかも知れないと思った、クルクマ=ペディオラタが、3株数花序開花し見頃で、ヒヨドリバナかと思っていたものが開花しており、名札を見て、別物の、ユーパトリウム‘ゲートウェイ’だと、気が付きました。トウテイラン・ユーパトリウム(青花)・ルドベキア‘リトルヘンリー’・宿根フロックスなどが満開で、スズカケソウ・パイナップルリリー・キバナミソハギ・キンミズヒキ・イトバハルシャギク・ハニーサックル‘ゴールドフレーム’などが咲き残り、パンパグラスの穂が目立って来ました。

時刻は12時少し前。木陰になっているベンチに腰を掛け小休憩の後、コンビニおにぎりでの昼食を食しました。

12時15分、午後からの草花散策を開始。

 

スイレン池では、期待していたパラグアイオニバスは、まだ蕾でしたが、熱帯スイレンが咲き残り、温帯スイレンが見頃を継続していました。

 

多肉植物室から温室散策を開始したのは12時20分過ぎ。12時50分に温室での散策を終え、

期待していた、温室北西&植物会館北東のアメリカデイゴを見遣ると、咲き出していましたが、遠すぎて、良い写真には、なりませんでした。

 

植物会館内の、冷房の利いた展示室のベンチに腰を掛け、15分間ほど、クールダウン。

 

武家屋敷門東合掌線東脇では、イワナンテンが元気でしたが、

武家屋敷門東脇の、期待していたフジカンゾウは、元気がなく、花を付ける様子が伺えませんでした。

 

也有園北脇の畑では、期待していたゴボウは、まだ花穂を立てていませんでしたが、トウガラシの実が稔って赤く輝いており、

也有園東脇の、期待していたオケラは、3株が蕾を付け、且つ、蕾の先端が白くなってきました。

 

奥池北脇では、ヒノキバヤドリギの実が綺麗でした。

 

湿地園では、期待していたサギソウが、30輪程開花し、サワシロギクが1輪だけですが、咲き出し、ミズギク・ミソハギが咲き残り、ミズギボウシが蕾を付けていました。

 

日本庭園池周辺では、キキョウが咲き残っていましたが、

日本庭園南道路南傍のノシランは、まだ花芽も付けていませんでした。

 

星が丘門南の交差点付近では、ハマボウが1輪だけ咲き残り、ハマユウが花後になっていました。

 

早春の小径北傍では、ウリが咲き出していましたが、ノシランは、まだ花芽を付けておらず、

源氏の庭では、ヒオウギが咲き残り、シモバシラの開花数が数花序に増えていました。

 

早春の小径南傍&源氏の庭北東脇のシキミの実が元気で、

野はらビオトープ南西のキガンピが終盤でした。

 

野はらビオトープ周辺では、

南西端のミョウガが咲き出していましたが、殆どが萎れ花で、綺麗な花は1輪に留まりました。

では、ナツメの実が元気で、

梅の谷南端のケイトウは、見頃を過ぎてきました。

 

ビオトープ西脇のクサギが綺麗でしたが、

この時点で、体力の限界を感じ、ビオトープの東屋で、暫し休憩。

 

少し元気になりお花畑方面に歩を進めると、

お花畑北道路北傍では、サルナシの実が元気で、ノリウツギが満開でした。

お花畑北脇でクズの様子を見てみましたが、まだ開花の様子は伺えませんでした。

炎天下のお花畑の散策はパスしました。

お花畑休憩所北東脇のシナアブラギリの実が元気でした。

 

お花畑休憩所北から源氏に庭に降り、星が丘門を目指し、坂を登っていくと、ハマビワが蕾を付け、タラノキ1株が開花し見頃で、小花の接写が叶いました。

 

散策を終えたのは、14時20分。

自宅には、15時40分に帰着しました。

アギナシ?(動物園上池)P

 

アズキナシの若い実(動物園上池南)P

 

アメリカデイゴ(植物会館北東)P

 

サンゴシトウ(花園橋北東脇)P

 

アメリカノウゼンカズラ(米国産園)P

 

アメリカノウゼンカズラ(米国産園)P

 

アメリカリョウブ‘ルビースパイス’(会館脇花壇)P

 

イトバハルシャギク(宿根草園)P

 

イヌビワの実(伊藤圭介の庭)P

 

イワナンテン(武家屋敷門東合掌線東脇)P

 

ウリ(早春の小径北傍)P

 

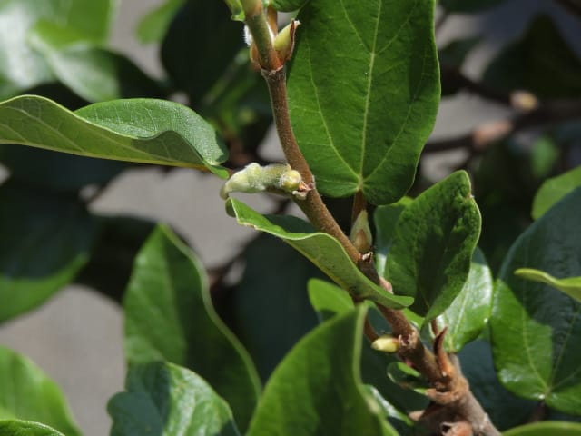
オオイタビの花芽?(花園橋北東脇)P

 

オケラの蕾(也有園東脇)P

 

カンナ科ダンドク(伊藤圭介の庭)P

 

温帯スイレン(スイレン池)P

 

温帯スイレン(スイレン池)P

 

スイレン(動物園上池)P

 

スイレン(動物園上池)P

 

熱帯スイレン(スイレン池)P

 

熱帯スイレン(スイレン池)P

 

パラグアイオニバスの花芽(スイレン池)P

 

カンレンボクの花後(ツツジヶ丘南麓)P

 

カクレミノ(植物園門南脇柵)P

 

カクレミノ(植物園門南脇柵)P

 

キガンピ(野はらビオトープ南西)P

 

キキョウ(日本庭園池南脇)P

 

キバナミソハギ(宿根草園)P

 

ミソハギ(湿地園)P

 

キョウチクトウ(FD広場南西)P

 

キンミズヒキ(宿根草園)P

 

クサギ(しゃくなげの森)P

 

クサギ(ビオトープ西脇)P

 

クルクマ・ペディオラタ(宿根草園)P

 

クマシデの果穂(花園橋北西脇)P

 

クルクマ・ペディオラタ(宿根草園)P

 

クルクマ・ペディオラタ(宿根草園)P

 

グレビレア‘ココナッツアイス’(FD広場脇)P

 

グレビレア‘プーリンダロイヤルマントル’(植物会館南)P

 

グレビレア‘ブロンズランバー’(FD広場脇)P

 

ケイトウ(梅の谷南端)P

 

サギソウ(湿地園)P

 

サギソウ(湿地園)P

 

サギソウ(湿地園)P

 

サギソウ(湿地園)P

 

サルナシの実(お花畑北道路北傍)P

 

サワシロギク(湿地園)P

 

サワフタギの実(ツツジヶ丘南麓)P

 

シキミの実(源氏の庭北東脇)P

 

シマサルスベリ(しゃくなげの森北端)P

 

シュウカイドウ(宿根草園)P

 

シモバシラ(源氏の庭南端)P

 

シモバシラ。左と同群(源氏の庭南端)P

 

シャシャンボの実(動物園上池南)P

 

ナツハゼの実(動物園上池南)P

 

宿根フロックス(宿根草園)P

 

スギ科スイショウの実(ガーデンテラス東脇)P

 

スズカケソウ(宿根草園)P

 

ストケシア(宿根草園)P

 

タイサンボクの実(米国産園)P

 

タイサンボクの実(しゃくなげの森)P

 

タカサゴユリ(中国産園)P

 

タカサゴユリ(宿根草園)P

 

タラノキ(星が丘門南)P

 

タラノキ。左の花序の小花(星が丘門南)

 

中国大花マユミの実(中国産園)P

 

中国ガマズミの若い実(中国産園)P

 

トウガラシの実(也有園北脇の畑)P

 

トチュウの実(中国産園)P

 

トウテイラン(宿根草園)P

 

トウテイラン。左と同群(宿根草園)P

 

トウフジウツギ(中国産園)P

 

トウフジウツギ。左と同株(中国産園)P

 

ナツメの実(野はらビオトープ北)P

 

ノリウツギ(お花畑北道路北傍)P

 

パイナップルリリー(宿根草園)P

 

ハニーサックル‘ゴールドフレーム’(宿根草園)P

 

ハマゴウ(伊藤圭介の庭)P

 

ハマボウ(星が丘門南)P

 

モミジアオイ赤(米国産園)P

 

モミジアオイ白(米国産園)P

 

ハマビワの蕾(星が丘門南)P

 

ハマユウの花後(星が丘門南)P

 

バンクシア・インテグリフォリア(FD広場脇)P

 

バンクシア・スピヌロサの蕾(FD広場脇)P

 

パンパグラスの穂(宿根草園)P

 

ヒオウギ(源氏の庭)P

 

ヒノキバヤドリギの実(奥池北脇)P

 

ヒロハシャゼンオモダカ(動物園上池)P

 

ポンテデリア(動物園上池)P

 

ミズギボウシの蕾(湿地園)P

 

ミズギク(湿地園)P

 

ルドベキア‘リトルヘンリー’(宿根草園)P

 

ミョウガ(野はらビオトープ南西端)P

 

メドハギの小花(伊藤圭介の庭)

 

メラレウカ‘コットンキャンディー’(FD広場脇)P

 

メラレウカ‘ホワイトレース’(FD広場脇)P

 

メラレウカ・ティミフォーリア?(FD広場脇)P

 

ヤブミョウガ(しゃくなげの森小池南脇)P

 

シナアブラギリの実(お花畑休憩所北東脇)P

 

ルリマツリ?(花園橋北西脇)P

 

ユーパトリウム‘ゲートウェイ’(宿根草園)P

 

ユーパトリウム(宿根草園)P

 

ユーパトリウム‘ゲートウェイ。同上(宿根草園)P

 

ユーパトリウム‘ゲートウェイ’の小花(宿根草園)P